Снорклинг-путешествие на острова Дайманиат
" Насладитесь красотой кристально чистых вод островов Дайманият в заповедной зоне! Вы откроете для себя живописные места для подводного плавания. Увидите разноцветных рыб и величавых черепах. И отдохнёте на комфортабельном судне с прохладительными напитками. "
Что вас ожидает
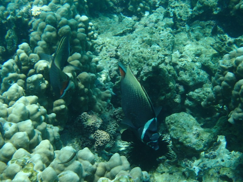
На комфортабельном катере с тентом вы отправитесь к островам Дайманиат. Это девять небольших островов, рядом с которыми обитают яркие рыбы и морские черепахи. Вы насладитесь невероятной природой здешних мест и изучите подводный мир, плавая с маской и трубкой. А ещё расслабитесь с освежающими напитками и закусками на кораблике.
Самые смелые могут подняться на горы острова и полюбоваться захватывающим панорамным видом на окрестности.
Организационные детали
- Оставшуюся сумму можно оплатить переводом в долларах США или переводом в рублях по курсу ЦБ РФ на день оплаты + 5%
- В стоимость включено: водная прогулка, аренда оборудования для снорклинга, напитки и закуски
- Мы можем организовать трансфер в порт — от $50 за машину в зависимости от расположения отеля. Подробности уточняйте в переписке при бронировании
- Программа не предполагает информационной части, с вами будет англоговорящий сопровождающий
- Мы предоставляем страховку на время поездки. Она распространяется на взрослых и детей старше 8 лет. По желанию вы можете самостоятельно оформить страховку для детей младше 8 лет
Начало экскурсии на пристани в Маскате.
Можно задать вопрос до бронирования?
В каких случаях бронирование может быть отменено?
Кто еще будет вместе со мной, размер группы?
Как оплатить экскурсию?
Если я отменю бронирование, вернутся деньги?
Гид Илья
В нашей команде работают только увлечённые гиды, искренне влюблённые в Оман. Каждый из нас прошёл профессиональное обучение и имеет лицензию, чтобы гарантировать вам качественный и безопасный отдых. Мы покажем вам уникальную красоту этой страны: её древнюю историю, потрясающую природу и гостеприимную культуру. Мы знаем всё о древних крепостях, традициях и легендах Омана. Наш подход — это внимание к деталям и забота о каждом клиенте. Мы не просто проводим экскурсии, а создаём незабываемые впечатления, которые останутся с вами навсегда. Наша миссия — открыть для вас настоящий Оман!8 отзывов - 4.62 ⭐
*написать отзыв можно только после посещения
Кулаева 21-11-2025
Опыт: 2 экскурсии
Алексей 08-11-2025
Опыт: 4 экскурсии
Александр 19-05-2025
Уважаемый Александр, Большое спасибо за ваш отзыв и за то, что нашли время поделиться впечатлениями об экскурсии. Искренне сожалеем, что стоимость услуг вызвала у вас разочарование — для нас крайне важно, чтобы каждый гость остался доволен путешествием. Касательно цены экскурсии, хотим отметить, что мы работаем как официальный партнёр лицензированных морских операторов, обеспечивая полную организацию тура: контроль безопасности, сопровождение гида, страховку, качественное снаряжение и логистику. Стоимость экскурсии включает все эти гарантии. Тем не менее, мы рассмотрим возможность оптимизации ценовой политики. Также вы абсолютно правы: индивидуальный трансфер действительно стоит дороже такси. Мы предлагаем его исключительно как дополнительную опцию для комфорта наших путешественников. При бронировании мы всегда предупреждаем о стоимости трансфера и оставляем за клиентами право выбора такси, как более бюджетной альтернативы. Ещё раз благодарим за честность — только так мы можем стать лучше. Очень надеемся, что красота островов Диманьят оставила в вашей памяти приятные воспоминания.

